Auszüge aus dem Liegenschaftskataster
Einfach hier bestellen.
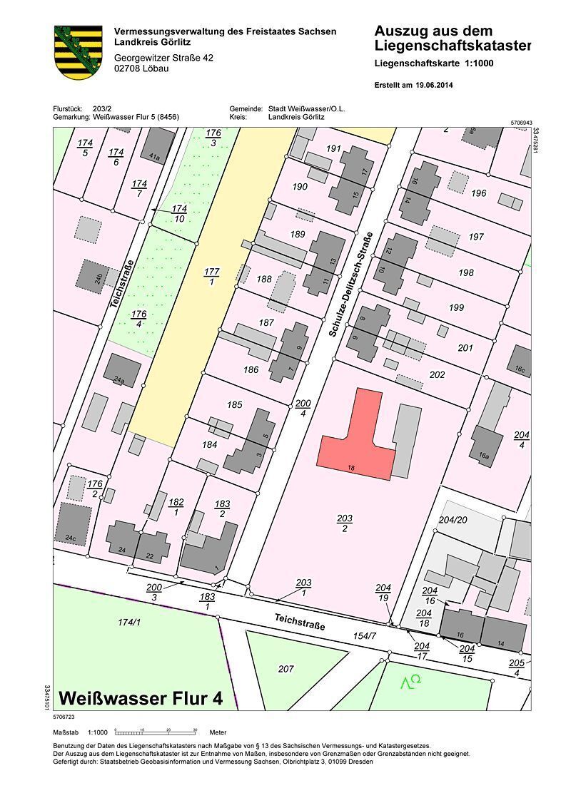
Im Freistaat Sachsen dürfen neben den Vermessungsbehörden auch Öffentlich bestellte Vermessungsingenieure (ÖbVI) ihren Kunden amtliche Auszüge aus dem Liegenschaftskataster und der Liegenschaftsbeschreibung gegen Gebühr erstellen. Für einen Bauantrag benötigt man immer einen aktuellen amtlichen Auszug aus der Liegenschaftskarte (Flurkarte). Kosten bzw. Gebühren regelt die SächsVermKoVO.
Gebühren zu Präsentationsausgaben, Anlage 1 zu § 1 Abs. 1 der SächsVermKoVO [Stand: 01.03.2023]
| Tarifstelle | Gegenstand | Gebühr (ohne MwSt)(2) | Gebühr (mit MwSt) |
|---|---|---|---|
| 10.2.1 | Liegenschaftskarte (1) | ||
| 10.2.1.1 | DIN A4 bis DIN A3 (farbig oder schwarz-weiß) | 20€ je Blatt | 23,80€ |
| 10.2.1.2 | DIN A2 bis DIN A0 (farbig oder schwarz-weiß) | 40€ je Blatt | 47,60€ |
| 10.2.2 | Flurstücksnachweis | 10€ je Flurstück (min. 15€) | min. 17,85€ |
| 10.2.3 | Flurstücks- und Eigentumsnachweis | 10€ je Flurstück (min. 15€) | min. 17,85€ |
| 10.2.4 | Grundstücksnachweis | 10€ je Flurstück (min. 15€) | min. 17,85€ |
| 10.2.5 | Bestandsnachweis | 20€ je Bestand | 23,80€ |
| 10.2.6 | Flurstücks- und Eigentumsnachweis mit Angaben zu benachbarten Flurstücken | 20€ je beantragtes Flurstück | 23,80€ |
(1) auch mit Katasternachweis nach § 12 Abs. 2 SächsVermKatGDVO
Ebenso können wir Ihnen die amtlichen Auszüge für Baugesuche oder Kaufverträge tagesaktuell bei uns vor Ort oder per Mail zur Verfügung stellen.
Auszug beantragen
Sie können das Bestellformular herunterladen und uns ausgefüllt zusenden oder alle notwendigen Angaben per E-Mail übermitteln.
Hier können Sie das Bestellformular hochladen und an uns senden.
Contact Us
Brauchen Sie Unterstützung bei der Bestellung Ihrer Liegenschaftskarte? Rufen Sie uns gerne an!











